致亲爱的广东:

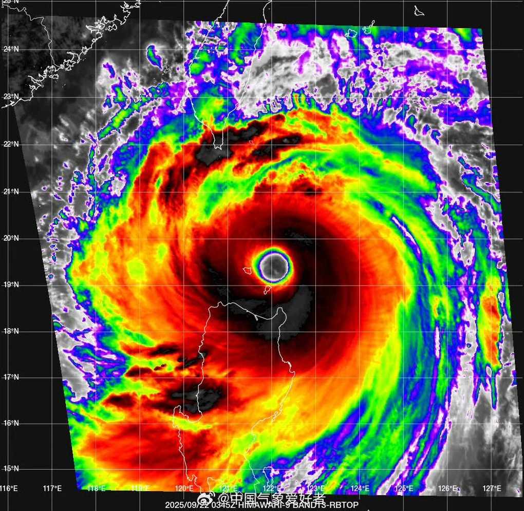
当你看到这封信的时候,我已经变成了一个快到18级的超强台风了,听说当年山竹快到的时候被削弱成15级了,请你放心,我会以我巅峰的状态来见你的。哦,当然,记得把你们户外的东西给固定好,还有,准备水蜡烛和充电宝。

对了,我来之前还给你1天半洗衣服晾晒,万里无云,蓝的可怕哟~

爱你的,桦加沙


PS:p3是山竹的